Op zoek naar de perfecte binnenstadswoning?
Als u op dit moment op zoek bent naar een aantrekkelijke BINNENSTADSWONING met BIJKEUKEN, SCHUUR en eigen ACHTEROM heeft u hier uw plekje gevonden! De woning is zeer verleidelijk, vlakbij de binnenstad, maar wel uit de drukte. De woning beschikt over een keurige keuken, moderne badkamer, 3 slaapkamers en een trendy inrichting. Zeer interessant object! U bent van harte welkom voor een vrijblijvende bezichtiging.
De woning wordt verkocht bij inschrijving onder gunning vanaf € 310.000,--.
U kunt op AFSPRAAK de woning bezichtigen. U kunt zich daarvoor AANMELDEN via ons kantoortelefoonnummer.
RE/MAX makelaar Han van Wijk begeleidt u graag bij de bezichtiging.
De inschrijving eindigt op vrijdag 22 juli 2022 om 17.00 uur.
Iedereen wordt op deze wijze in de gelegenheid gesteld om een bieding uit te kunnen brengen.
De speciale inschrijfformulieren worden u tijdens een vrijblijvende bezichtiging uitgereikt.
Wij leiden u graag rond in deze woning. Dit kan ook ’s avonds of in het weekend!
Beelden vertellen u meer dan tekst. Wij verwijzen u dan ook graag naar onze video én Matterport presentatie ( interactieve video) op onze site. U krijgt hierbij een video introductie, een videovlucht om én door de woning en maar liefst meer dan 60 foto’s van het object. U kunt de woning ook op een virtuele wijze bekijken. Dit kan ook met een VR bril voor de ultieme beleving!
Begane grond: via de entree komt u in de hal met meterkast, trapkast, garderoberuimte en toegang naar de bovenliggende etages. In de hal treft u tevens de moderne toiletruimte met modern tegelwerk, hangcloset en fonteintje aan.
Door de praktische afmetingen van de woonkamer kunt u op diverse wijzen uw interieur inrichten. De zonnige lichtinval zorgt voor een zeer prettige leefomgeving. In de woonkamer is massief eiken parket gelegd. De wanden zijn fraai afgewerkt met strak stucwerk en het hoge plafond valt gelijk op! De openslaande tuindeuren aan de achterzijde van de woonkamer vormen een fraaie overgang naar de achtergelegen binnenstadstuin. Via een moderne toogverbinding is de half open keuken bereikbaar.
De in L-vormgegeven keuken is uitgevoerd in een moderne grijs-blauwe kleurstelling en een houtkleurig werkblad. De keuken is voorzien van een hoog werkblad en uitgerust met een afzuigkap, 5 pits gaskookplaat, combimagnetron, koel/vriescombinatie en vaatwasser. De keuken zal u heerlijk comfort tijdens het kokkerellen brengen en biedt u veel werkruimte. Vanuit de keuken heeft u toegang tot de praktische bijkeuken.
Bijkeuken: direct achter de keuken is de bijkeuken met achterentree gelegen. In deze ruimte is een handige opbergkast aanwezig, waar u prima uw wasmachine en wasdroger kwijt kunt.
Tuin: de binnenstadstuin is keurig aangelegd en voorzien van sierbestrating en borders. U kunt hier heerlijk van het zonnetje genieten en u heeft de beschikking over veel privacy. U kunt de woning ook achterom via de schuur bereiken.
Schuur: u heeft ook de beschikking over een ruime schuur. Deze ruimte kan prima gebruikt worden om uw tuinmeubelen, gereedschappen en fietsen te bergen. De schuur is over de gehele breedte van het perceel gesitueerd en hierdoor bijna net zo groot als een garage. U kunt ook met een motorfiets de schuur bereiken en de schuur is ook voorzien van elektra.
1e verdieping: via de trap in de hal bereikt u de 1e verdieping. Hier zijn 3 slaapkamers van verschillende afmetingen gesitueerd. Op de vloer is een moderne laminaatvloer gelegd. De wanden zijn keurig afgewerkt. De slaapkamer aan de voorzijde is voorzien van een vaste kastenwand. U heeft meer ruimte op deze verdiepingsvloer dan u in 1e instantie wellicht zult verwachten! Met name de hoogte van het plafond op de overloop zal u zeker aanspreken!
Op deze etage is een moderne badkamer aanwezig. Deze sanitaire ruimte is volledig betegeld met een brede moderne tegel en voorzien van een inloopdouche met drain, een breed wastafelmeubel met dubbele kraan en 2e hangcloset. Het geheel is fraai afgewerkt en een designradiator ontbreekt hier vanzelfsprekend niet bij! Het plafond is voorzien van inbouwspots.
2e verdieping: via een vlizotrap op de overloop is de 2e verdieping bereikbaar. Deze bergzolder biedt u extra opbergmogelijkheden. Ook is in deze ruimte de CV installatie ondergebracht.
Bijzonderheden:
De woning wordt verkocht bij inschrijving onder gunning vanaf € 310.000,--.
U kunt op AFSPRAAK de woning bezichtigen. U kunt zich daarvoor AANMELDEN via ons kantoortelefoonnummer.
RE/MAX makelaar Han van Wijk begeleidt u graag bij de bezichtiging.
De inschrijving eindigt op vrijdag 22 juli 2022 om 17.00 uur.
Iedereen wordt op deze wijze in de gelegenheid gesteld om een bieding uit te kunnen brengen.
De speciale inschrijfformulieren worden u tijdens een vrijblijvende bezichtiging uitgereikt.
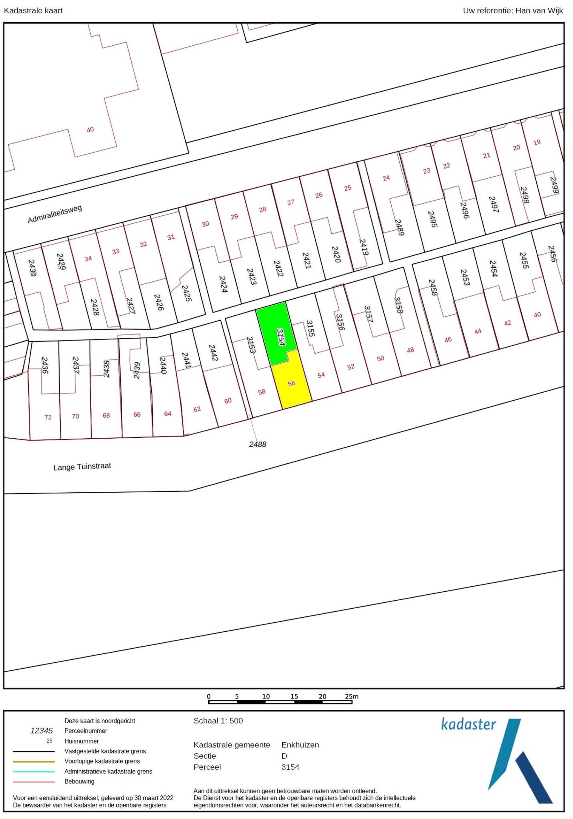
Bouwjaar: ca. 1925
Inhoud: ca. 294 m³
Woonoppervlakte: ca. 78 m²
Externe bergruimte: ca. 13 m²
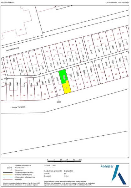
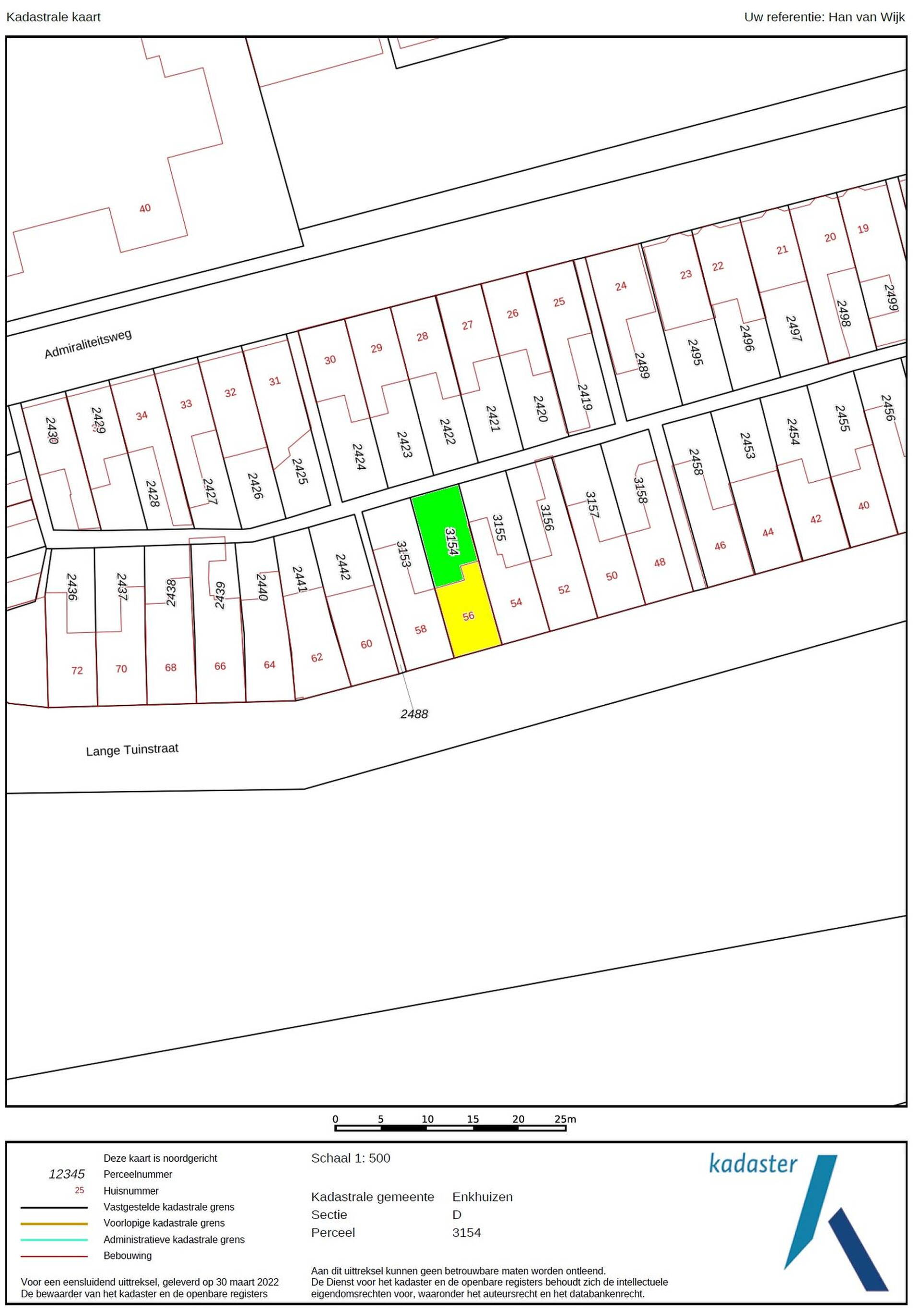
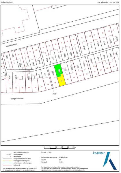
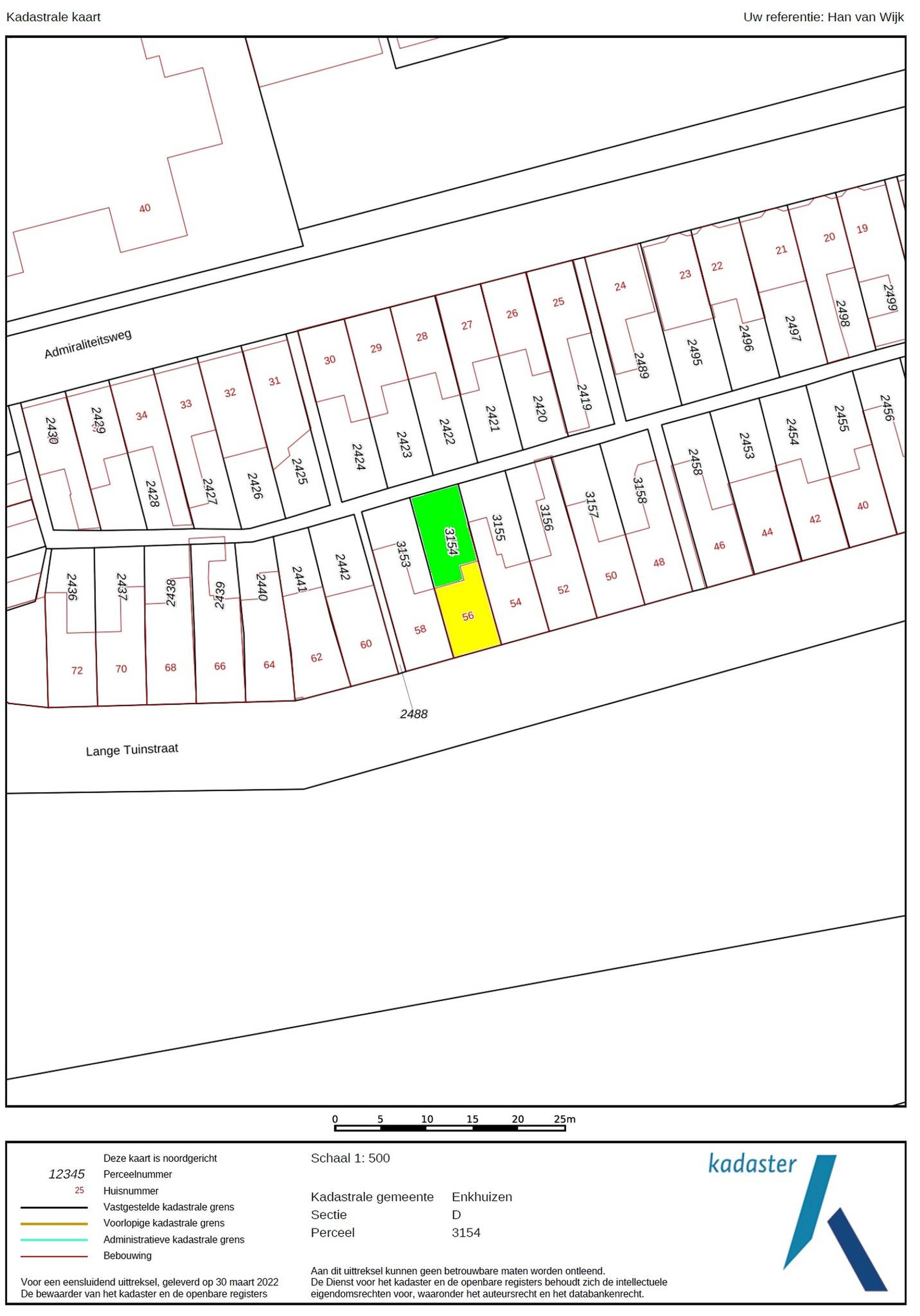
Perceeloppervlakte: 100 m²